私たちがグアム旅行の際にシュノーケリングを楽しみたい時に行くのがタモン湾のホテルのヒルトンとPICの間にあるイパオビーチです。
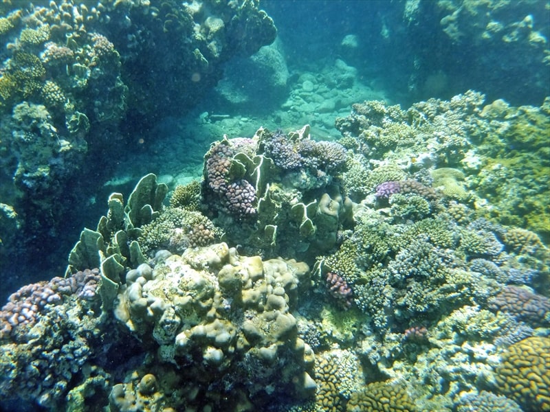
魚もとても多くいますし、サンゴもあることからとても奇麗な海中の景色が楽しめますので1~2時間はシュノーケリングを楽しんでいます。
魚の群れもとても多いですし、大きなダツの泳ぐ姿を楽しむことができます。
グアムのきれいな海でのシュノーケリングをオプショナルツアーに行かなくてもイパオビーチでは簡単に楽しむことができます。
実際のシュノーケリングで楽しんだ海中の様子はこちらになります。
ライフジャケットを着てマスクとシュノーケルを付ければすばらしい海中の景色を堪能することができます。



























波はそれほどありませんが、潮の流れがあって流されますのでたまに自分の浮いている位置を確認すると良いでしょう。
イパオビーチはパシフィックアイランドクラブとヒルトンの間にあるビーチです。
ローカルの方も利用するので駐車場もありますし、更衣室も用意されています。
更衣室はとてもオープン感がりますので、あまり利用はお勧めしません。
宿泊しているホテルから赤いシャトルバスを利用して行く場合のバス停は南廻りを利用する場合はイパオパークGVB前、北廻りを利用する場合はパシフィックアイランドクラブ向かいのバス停利用となります。
宿泊しているホテルで水着を着て、その上にTシャツやショートパンツを履いてイパオビーチに行き、シュノーケリングを楽しんだ後は、着替えを持って行って更衣室で着替えるか、ビーチタオルで水着の水分を拭いて、再びTシャツ、ショートパンツを水着の上に着て赤いシャトルバスでホテルに戻ると良いのではないでしょうか。
イパオビーチには海難事故を防ぐための監視所がありますので、心配な方はその前の海でシュノーケリングを楽しむと良いでしょう。
ローカルの方にイパオビーチのシュノーケリングのスポットはどこが良いのか聞きましたら、イパオビーチのレスキューの前の遊泳可能範囲を示すフラッグの辺がシュノーケリングのベストポイントだと教えてくれました。
イパオビーチの近くにはコンビニはありませんのでランチをビーチで食べたいという方はおにぎりやパンと飲み物を持って行く必要があります。
ビーチで美味しいランチを楽しみたいという方でしたら、ビーチからホテルロードに行ったところにあるレストランのプロアでランチをテイクアウトすると良いでしょう。
テイクアウトのランチはそれなりの値段となりますが、美味しいと人気のレストランのサンドイッチやBBQのプレートランチを楽しむことができます。
ビーチからプロアまでの距離は300メートルほどですから5分ほどで行くことができます。
ヒルトンやPICに宿泊している方はイパオビーチがすぐ隣にありますからホテルから水着とシュノーケリンググッズを持ってビーチ沿いに歩いて行けば良いのですが、それ以外のグアムのホテルに宿泊されていて、スノーケリンググッズを持っていなくてイパオビーチでシュノーケリングを楽しみたい方にお勧めの楽しみ方をお教えします。
それは我が家がグアムのタモン湾から離れたホテルのリーガロイヤルに宿泊した際にイパオビーチでシュノーケリングを楽しんだ方法となります。
まずホテルで水着に着替えて、水着の上からTシャツとショートパンツをはいて貴重品のバックを持って赤いシャトルバスでグアムヒルトンまで行きました。
そしてグアムヒルトンのプールサイドにあるビーチサービスショップでシュノーケリンググッズを借りるのです。
ヒルトン以外の宿泊者でもビーチサービスショップは簡単に利用することができます。
ビーチサービスショップでは貴重品や脱いだ服も預かってくれますし、帰る時にシャワーも浴び放題でビーチタオルも貸してくれますので利用することができます。
帰る時にはシャワーを浴びて水着の水分が無くなりましたら行きに着てきたTシャツとショートパンツを上から着て赤いシャトルバスに乗ってホテルまで帰りました。
とても便利でしたので、我が家はグアムのヒルトンまたはPIC以外のホテルに宿泊している時には、イパオビーチで遊ぶ時にはヒルトンのビーチハウスを利用しています。

ランチはヒルトンまで戻ってプールサイドにあるツリーバーで水着のまま食べても良いですし、ロビーフロアにあるカフェチーノでサンドイッチを買って食べるのもお勧めです。
安心してイパオビーチでシュノーケリングを楽しむのにヒルトンの施設をベースにするといった事はとてもおすすめです。
ヒルトンのーチサービスショップからイパオビーチまでは400メートルほどとなっています。
サイトは素人調査隊がグアム旅行の際に体験したことや、調べた時点の情報となっています。
記事内容が最新の情報と違っている場合がありますのでご容赦ください。
サイトの記事等で問題がございましたら訂正させて頂きます。
大変申し訳ございませんがご連絡を頂けます様よろしくお願いいたします。
連絡先
sutekinatabinotomo@yahoo.co.jp